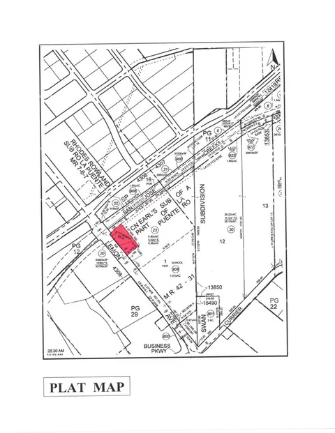
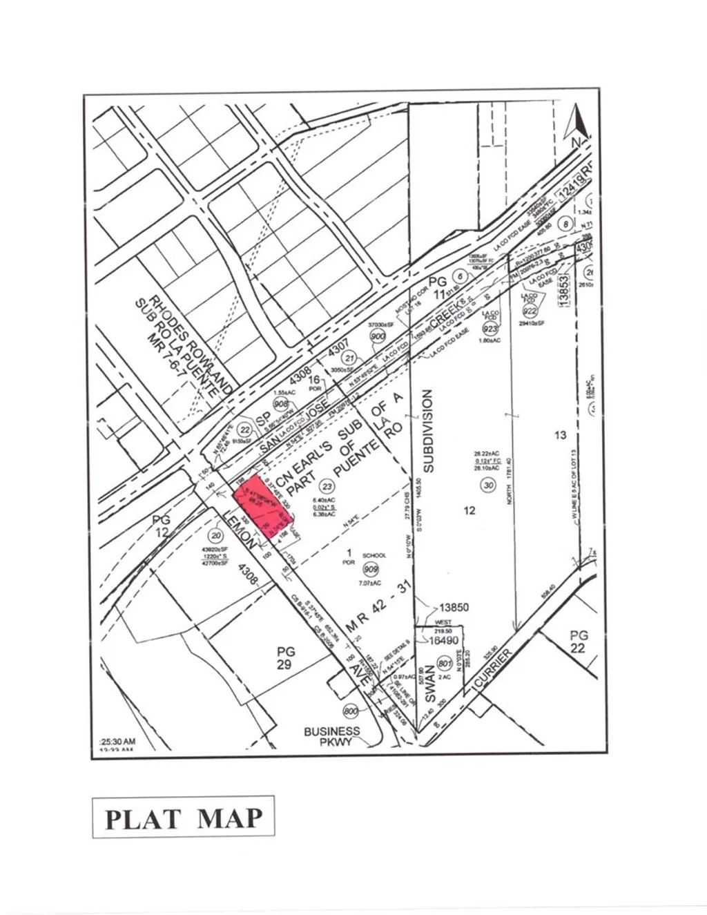
PLEASE DO NOT DISTURB LONG TIME EXISTING TENANT. This site is nominally improved with two buildings totaling 2100 rental square feet. The structures pertain to a one-story, wood-framed office/retail building totaling 960 sq. ft. and 1,144 square foot one-story, wood-framed storage structure. The office building is in average condition and the storage structure is below average condition. The lot is partially asphalt and partially concrete paved in average condition. The subject property is leased on a month-to-month basis and is operated as a U-Haul franchise and vehicle storage yard. Lot is 41,698 sq. ft. or 0.96 gross and net acre, rectangular-shaped lot positioned along the east side of Lemon Avenue, 250 feet south of Valley Boulevard in the City of Industry, Ca. The property has a City of Walnut Postal Address. This site is located about 1-2 blocks from the FUTURE WALNUT BUSINESS PARK PROJECT which is comprised of more than 400,000 sq ft. of office park. LAND ONLY FOR SALE, NOT THE BUSINESS!
Loading...
The scores below measure the walkability of the address, access to public transit of the area and the convenience of using a bike on a scale of 1-100
Walk Score
Transit Score
Bike Score
Loading...
Loading...
Estimated Payment:
| Principle & Interest | |
|---|---|
| Taxes | |
| Insurance |
